REQUEST A TOUR If you would like to see this home without being there in person, select the "Virtual Tour" option and your agent will contact you to discuss available opportunities.
In-PersonVirtual Tour

$ 69,900
Est. payment /mo
Active
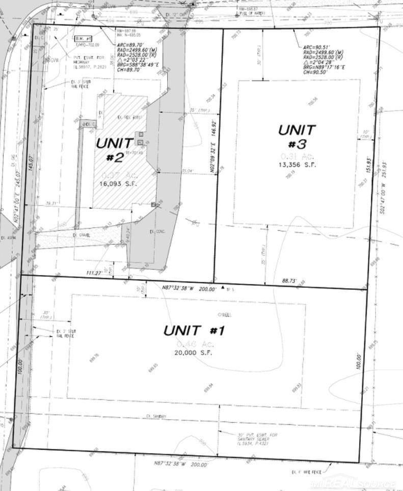
unit #1 John R RD Rochester Hills, MI 48307
10,018 Sqft Lot
UPDATED:
Key Details
Property Type Vacant Land
Listing Status Active
Purchase Type For Sale
Subdivision John R Highlands
MLS Listing ID 58050197102
Lot Size 10,018 Sqft
Acres 0.23
Property Description
vacant Buildable site condo lot in Rochester hills, Rochester school district! This lot is currently being split from house located at 3851 John R, split approved but not complete 90% complete. buyer to assume and be responsible for completion! priced accordingly! gas water sewer hookups all in front at road some improvements needed like sidewalk, ect to complete split. Two site condo lots available. one on michelson adjacent to 3851 John R east of behind house is Unit #3. 2nd lot is south of and adjacent to 3851 John R is Unit #1 there is 30ft easement on this lot at south side. Owner will answer any and all questions regarding whats needed to accomplish split. contact listing agent for Owners contact info!
Location
State MI
County Oakland
Area Area02151Rochesterhills
Interior
Fireplace No
Exterior
View Y/N No
Building
Sewer Public Sewer, Sewer At Street
Water WateratStreet
New Construction No
Schools
High Schools Rochester
School District Rochester
Others
Acceptable Financing Cash
Listing Terms Cash
Special Listing Condition ShortSaleNo, Standard

©2026 Realcomp II Ltd. Shareholders
Listed by James Megalizzi of Deed Realtors

GET MORE INFORMATION
QUICK SEARCH




